Philippines: 31 million people affected by typhoon

Manila – A super typhoon weakened after barreling through the southern part of the Philippines’ main island of Luzon on Sunday, with officials reporting at least four deaths, power outages, infrastructure damage and flash floods.

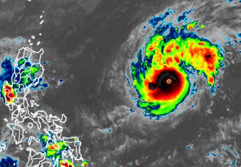
Goni is among the strongest typhoons to hit the Philippines since Haiyan, which killed more than 6,300 people in 2013.

Tropical storm-wind alerts were lowered but the weather agency warned Goni still posed a threat while traversing provinces south of the capital, Manila.

Goni made landfall in two places in the Bicol region where four deaths were reported, said provincial Governor Al Francis Bichara, including one person hit by a tree and a five-year-old who was swept away after a river overflowed.

Video footage by news channels and on social media showed rivers overflowing and some dikes destroyed, submerging villages in Bicol.

Bichara also received reports of volcanic mudflows, as well as electricity supply and communication service outages.

Between 19 million and 31 million people could be affected by the typhoon, including those in danger zones and in metropolitan Manila, the disaster management agency said. (Aljazeera)